조황관리HOME / 조황관리 / 상세정보

제목 : 3월21일 감성돔 조황입니다.
등록일 : 2026-03-21
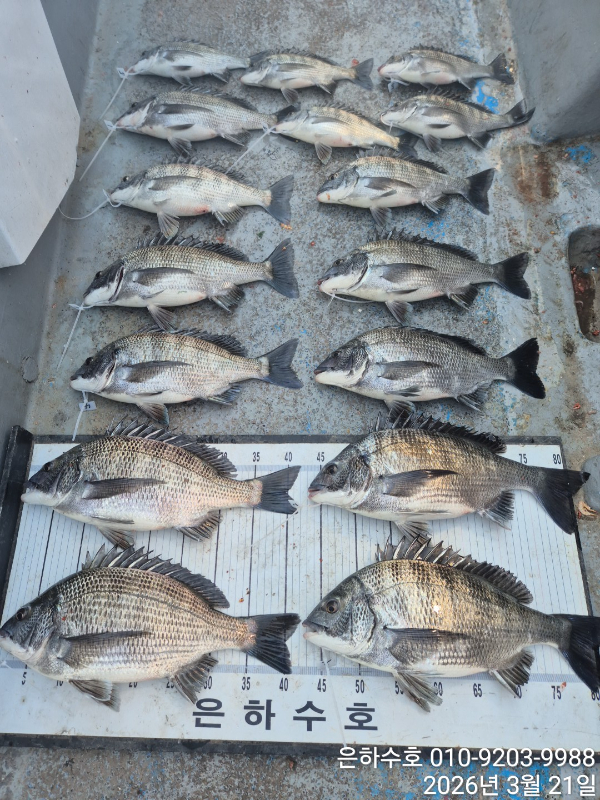
다섯분 모시고 다녀왔습니다.

예약하기
http://eunhasuho.sunsang24.com

TimePhoto_20260321_144407.jpg


TimePhoto_20260321_144417.jpg


TimePhoto_20260321_141335.jpg


TimePhoto_20260321_075119.jpg


TimePhoto_20260321_141031.jpg


TimePhoto_20260321_135835.jpg


TimePhoto_20260321_135733.jpg


TimePhoto_20260321_133702.jpg


TimePhoto_20260321_133603.jpg


TimePhoto_20260321_125918.jpg


TimePhoto_20260321_124451.jpg

#감성돔 #여수감성돔 #선상감성돔 #선상찌낚시 #선상흘림 #은하수호 #여수은하수호 

★ 선박 정보 ★


■ 예약 및 문의전화 : 010-9203-9988(선장 문평곤)
■ 오시는길 : 전남 여수시 신월5길 55
■ 홈페이지 예약 사이트 : http://eunhasuho.sunsang24.com
■ 밴드 바로가기 : https://band.us/band/61551320
  (밴드에서도 출조일정 및 조황정보 확인 가능)
■ 톤수 : 9.77톤
■ 정원 : 22명(선장 포함)
■ 예약안내 : 예약 후 선입금 하셔야 예약 확정됨
   * 입금계좌 : 기업은행 382-021994-01-012(문평곤)

■ 자리 배정은 출항 전 제비뽑기로 정합니다.(인원수순 > 예약순)
■ 멀미약은 출항 전 미리 드시고 오세요. 배에서는 멀미약을 지급하지 않습니다.

#돌문어 #갑오징어 #쭈꾸미 #내만갈치 #백조기 #타이라바 
#무늬오징어 #은하수호 #감성돔 #여수감성돔 #선상감성돔 #감성돔흘림


모바일.jpg

Top